MycoGenie MycoPlasma Elimination Kit (MORV0012)

(No reviews yet) Write a Review

SKU:
MORV0012
Product Type:
Assay
Research Area:
Mycoplasma Testing
€0.00
Frequently bought together:

Description

system_update_altDatasheet

Overview

Introduction

MycoGenie MycoPlasma Elimination Kit is designed to eliminate Mycoplasma from contaminated cell culture media and serum.

Unlike conventional antibiotics used to treat mycoplasma contamination, this kit removes mycoplasma by disrupting membrane structure allowing elimination of even antibiotic-resistant mycoplasma. This is a much more effective method of eliminating mycoplasma versus other common methods that simply inhibit proliferation. It is also very effective at removing Gram-negative and positive bacteria. This kit successfully eliminates intracellular and extracellular mycoplasma after a 3-7 day treatment protocol. Furthermore, it is non-toxic to cells and has been shown to kill most mycoplasma species. The MycoGenie MycoPlasma Elimination Kit has been validated with most commonly used cell lines including mouse and human embryonic stem cells, iPS cells, HEK293, Hela, HepG2, HCT116, COS-7, Vero, Huh-7, MDCK, PANC-1, SW620 and U2OS.

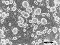
Non-Toxic Mycoplasma Elimination

Figure 1: Mouse Embryonic Stem Cells (ES) were cultured for 3 days with the MycoPlasma Elimination Reagent (1:1000) with no effect on cell toxicity.

Figure 2: ES cultured cell cultures had no detectable Mycoplasma as tested using MycoGenie Mycoplasma detection kit (Cat.no. MORV0013) 3 days post-treatment with the MycoPlasma Elimination Reagent. Tube 1: Positive Control | Tube 2: Day 0 | Tube 3: Day 3 | Tube 4: Negative Control.


Store at -20℃.

Kit Components

ComponentsMORV0012-100MORV0012-500

MycoGenie MycoPlasma Elimination Kit

100 µl

5 x 100 µl

Protocol

StepDescription

1.

Create a working solution by diluting the MycoGenie MycoPlasma Elimination reagent with fresh cell culture medium with a ratio of 1:1000.

Note:
The diluted solution should be fleshly prepared and should not be stored.

2.

Discard the contaminated cell culture media and add the fresh media containing the MycoGenie MycoPlasma Elimination solution prepared in Step 1.

Note: During treatment, for each media replacement step, use fresh cell culture media containing MycoGenie Mycoplasma Elimination reagent.

Note: Collect the cell culture supernatant when replacing cell culture media and use MycoGenie Rapid Mycoplasma Detection Kit (Assay Genie Cat. MORV0011) to detect mycoplasma contamination.

3.

Successful removal of mycoplasma can usually be obtained within 3 days.

Note:
A 3-day treatment means replacing the cell culture media every day for 3 days.

Note: Adjust treatment duration according to the extent of contamination.

4.

Use the MycoGenie Rapid Mycoplasma Detection Kit (Assay Genie Cat. MORV0011) to confirm that the mycoplasma has been completely removed after treatment.

5.

After mycoplasma removal is confirmed, replace with fresh cell culture media without the MycoGenie MycoPlasma Elimination solution. After mycoplasma removal is confirmed, replace with fresh culture medium without MycoGenie MycoPlasma Elimination Kit.

FAQs

1.) How does the MycoGenie MycoPlasma Elimination Kit work?

The MycoGenie MycoPlasma Elimination Kit causes changes to the osmotic pressure of culture media which disrupts the membrane structure thereby eliminating mycoplasma. This method is highly efficient at eliminating Mycoplasma unlike antibiotics which only inhibit the growth rather than killing Mycoplasma.

2.) What is the main difference between Assay Genie's MycoGenie MycoPlasma Elimination Kit and competitor products such as Sigma-Aldrich LookOut Mycoplasma Elimination Kit?

Firstly, we offer a single tube system making it very easy to use. Our kit is not based on antibiotics so it is very gentle on the cultured cells and does not affect their phenotype. Furthermore, there will be no antibiotic-related resistance issues which can be important for some drug screening applications. Finally, the Mycoplasma Elimination reagent can be completely removed by changing the culture medium.

3.) How to treat the cells with severe mycoplasma contamination?

For severely contaminated cultures, it is recommended to extend the treatment to 7 days or even longer.

4.) Is the MycoGenie MycoPlasma Elimination reagent toxic to cells?

During validation, it has been shown that the MycoGenie MycoPlasma Elimination Kit is non-toxic to most cell types. However, it is recommended to increase the dilution factor from 1:1000 to 1:2000 or even higher if cell growth is reduced during treatment.

5.) Can MycoGenie MycoPlasma Elimination Kit be used with primary cell cultures?

Yes. Compared with similar products from other resources, the MycoGenie MycoPlasma Elimination Kit demonstrates is higher efficiency in eliminating mycoplasma from MEF (mouse embryo fibroblast) and other primary cell cultures, which are at high risk of mycoplasma contamination.

6.) Does the MycoGenie Mycoplasma Elimination kit kill other related organisms?

Yes, the MycoGenie Mycoplasma Elimination kit eliminates other organisms such as Mollicutes (Acholeplasma, Spiroplasma, and Entomoplasma) in cell culture.

View AllClose